Физиологической ролью кашля является очищение дыхательных путей от посторонних веществ, частиц и механических препятствий, нарушающих проходимость дыхательного тракта. Кашель является безусловным (автоматическим рефлексом), те есть его нельзя контролировать. Этот рефлекс, особенно длительный, оказывает на организм изнуряющий эффект. Он также может осложнять отношения между животным и владельцем.
Кашель наблюдаться при большом количестве заболеваний (инфекционные, опухолевые, аллергические, сердечные, желудочно-пищеводные, при попадании инородных тел).
При появлениях симптомов кашля, животное необходимо повести в ветеринарную клинику. Врач определит причину кашля и назначит соответствующее лечение.
Одна из причин кашля - коллапс трахеи
Трахея-это орган по которому поступает воздух в бронхи и легкие. Трахея состоит из шейного и грудного отделов. Выглядит она как полая гофрированная трубка с хрящевыми кольцами. Эти кольца служат каркасом для того чтобы во время дыхания трахея не спадалась. Во время дыхания создается изменение давления в этой трубке. Если эти кольца мягкие, то во время дыхания трахея может сплющиваться, тем самым вызывая кашель и нарушая доставку кислорода к легким. Это состояние и называется коллапсом трахеи.Коллапс трахеи встречается чаще у собак среднего и пожилого возраста, преимущественно маленьких пород таких как йоркширский терьер, чихуа хуа, померанский шпиц, ши тцу, лхасский апсо и карликовый пудель.
Коллапс может существовать годами без симптомов.
Причины коллапса разнообразны. Для появления симптомов всегда наблюдается как минимум две причины. Это первичная слабый хрящ (генетически предрасположенные породы) и приобретенная, которая благоприятствует смыканию трахеи (ожирение, болезни желудка и кишечника, зубной камень и пародонтит, сердечная недостаточность, инфекционные заболевания дыхательных путей и др.).
Коллапс проявляется в виде приступообразного кашля, дыхания через рот, «гусиный гогот», хрюканье. Кашель вызывается напряжением, волнением, давлением поводка на шею или после приема воды. После появления симптомов коллапс входит в так называемый «порочный круг» и часто усиливается. Могут наступать тяжелейшие приступы кашля из-за удушья с потерей сознания, а в крайних случаях и остановку сердца из-за нарушения работы блуждающего нерва.


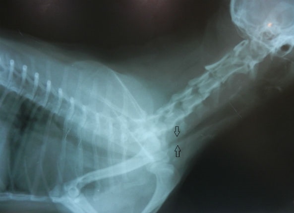
Для диагностики коллапса, ранее, стандартом считалось 2 боковых рентгеновских снимка грудной полости в разные фазы дыхания. Во время вдоха проявляется коллапс шейного отдела трахеи, во время выдоха- грудного. Из-за того, что у собак стресс при посещении ветеринара, сложно порой поймать нужную фазу дыхания и сделать снимок. Приходится делать их больше, тем самым увеличивая дозу облучения. При чрезмерном загибе вверх шеи на снимке мы увидим уплощение трахеи.
В клинике Animalia, благодаря специальному оборудованию, применяется дополнительная диагностика коллапса – эндоскопическое исследование трахеи. В этом случае можно оценить более точно степень развития коллапса. От степени будет зависеть лечение собаки.
Степеней существует 4.
1 степень- слегка провисающая верхняя мембрана(складка) трахеи (можно диагностировать только при помощи эндоскопии)
2 степень- сужение просвета трахеи на 50%
3 степень- 75%
4 степень- верхняя мембрана(складка) касается нижнего свода трахеи и выглядит как цифра 8 в горизонтальном положении.
Лечение зависит от стадии
1 и 2 степень лечатся консервативно. Лечение длительное и часто повторяющееся. Применяются глюкокортикоиды для снижения воспаления, антибиотики для борьбы с инфекцией, противокашлевые препараты для контроля ночного кашля, чтобы животное и владелец могли выспаться. Препараты, расширяющие просвет бронхов. Они способствуют снижению давления в трахее во время выдоха. Дополнительно применяют препараты для разжижения слизи. Воздух где живут такие животные должен быть без пыли и особенно табачного дыма, чтоб не раздражал кашлевые рецепторы.
3 и 4, а также 2, которая не отвечает на терапию, должна лечиться хирургически. Раньше лечение было возможным только в шейной части трахеи. Для этого требовалось разрезать трахею и вставить туда спиралевидный или кольцевидный протез и в Украине практически не выполнялось из-за сложности процедуры и отсутствия протезов.
В нашей клинике, благодаря инновационным методам и материалам, а также эндоскопической технике можно без операции, через естественное отверстие вставить эндо трахеальный стент.
Стент это такое устройство, которое не позволяет трахее смыкаться. Это каркас из специального пластика, который имеет свойства врастания в слизистую трахеи.
Стент поставляется в стерильной упаковке в сложенном виде в устройстве доставки. Внутри доставляющего устройства есть отверстие для подачи кислорода. Чтобы во время установки животное могло дышать. Под визуальным контролем эндоскопа стент ставится в нужное место и медленно распрямляется, расширяя трахею. Устройство доставки извлекается, а стент остается стоять и удерживать трахею от смыкания.
После установки эндо трахеального стента и в среднем трехнедельного курса последующего лечения, примерно в 90 % случаев можно добиться полного исчезновения симптомов коллапса трахеи.
Полезные ссылки:
https://www.youtube.com/watch?v=0qxaF1t1BrMhttps://www.youtube.com/watch?v=yB2lRz8Y5QU
Врач ветеринарной медицины Алимов Р.В.
За консультацией обращаться по тел.:(099) 050-93-77; (068) 783-90-10; (099) 050-93-55; (068) 783-90-15
e-mail: mail@animalia.com.ua; info@animalia.com.ua
